

A középkorban mágikus, oltalmazó növényként tartották számon a fekete üröm gyógynövényt, melyet sokan csak asszonyfűként ismernek. Korábban a hosszú útra indulók bíztak védelmező erejében, de a rovarok távoltartásában is élen járt. A hagyomány szerint a római katonák még a szandáljukba is tettek belőle, hogy hosszú menetelés közben se fáradjon el a lábuk. Na, de miben rejlik a fekete üröm gyógyhatása?

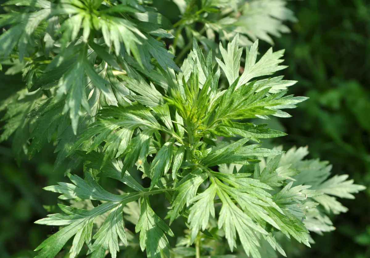
Az asszonyfű vagy anyafű, legismertebb nevén a fekete üröm Európában és Észak-Afrikában különösen elterjedt, Magyarországon pedig szinte bárhol találkozhatunk vele. Megjelenésre tekintélyes termetű, bokrosodó növény: általában 1-1,5 méter magasra nő, erősen elágazó, kissé bordázott szára pedig idővel fásodni kezd. Levelei felül sötétzöldek és többnyire simák, alul viszont jellegzetesen ezüstösen, fehéren molyhosak. Apró, sárgás vagy vörösesbarnás virágai fészkekben nyílnak, termése pedig barna színű.
A hagyomány gyógy- és fűszernövényként is számon tartja, ugyanis aromás, zsenge hajtásait főként zsírosabb ételekhez használták, mert a népi tapasztalat szerint könnyebben emészthetővé teszi a fogásokat. Nem véletlen tehát, hogy több európai konyhában a sültek, halak mellett, sőt klasszikusan liba mellé is előkerült. A régi időkben italoknál is felbukkant: a komló megjelenése előtt a sör ízesítésére is használták, és ma is előfordul, hogy keserű aromakomponensként egyes fűszeres italok kapcsán alkalmazzák.
Fél liter vízben áztassunk nagyjából 25 gramm szárított asszonyfüvet húsz percig, majd ízlés szerint adhatunk hozzá citromot vagy mézet. Naponta három evőkanállal fogyasszunk belőle, ezt a mennyiséget pedig ne lépjük túl!
Kesernyés, karakteres aromája miatt a hagyományos fitoterápiában elsősorban emésztést támogató növényként kapott szerepet. A népi tapasztalat szerint serkentheti az emésztőnedvek termelődését, csökkentheti a teltségérzetet, és segíthet, ha egy nehezebb étel megülte a gyomrunkat. A modern összefoglalók is kiemelik, hogy a keserű ízű, illatos gyógynövényeket sokan épp ezért használják étvágytalanság, puffadás, lassú emésztés esetén. Emellett a fekete üröm a hagyományos gyógyászatban a menstruációval kapcsolatos panaszok segítőjeként is megjelenik, mert enyhíteni a fájdalmat és a görcsöket, valamint hasznos lehet akkor is, ha felborul a ciklusunk. A szakirodalom azt is megjegyzi, hogy Ázsiában és Európában egyaránt alkalmazzák nőgyógyászati panaszok kezelésére. Ráadásul a néphagyomány szerint a hisztéria, sőt egyes helyeken epilepszia esetén is alkalmazták a korszerű gyógyszerek kifejlesztése előtt, így kapcsolódik hozzá a nyugtató, feszültségoldó hírnév is.
Erre különösen vigyázzunk!
Nagyon fontos, hogy a fekete ürömnek csak a hajtása használható, és figyeljünk arra is, hogy a tujon – a növény illóolajában előforduló, nagyobb mennyiségben mérgező vegyület – a napi adagban ne haladja meg a 6 milligrammot!
Érdekelnek a gyógynövények? Nézd meg ezt a videóit is, amiben 10 olyan értékes gyógyító növény is szerepel, amire szükséged lehet a mindennapokban:
Ezek a cikkek is érdekelhetnek:



Portfóliónk minőségi tartalmat jelent minden olvasó számára. Egyedülálló elérést, országos lefedettséget és változatos megjelenési lehetőséget biztosít. Folyamatosan keressük az új irányokat és fejlődési lehetőségeket. Ez jövőnk záloga.